ようこそ「住まい-や ネット」へ

室内環境でからだは、敏感に反応します。
さらに暮らしのなかで体の健全さを
保つ為に、「竹炭シート・竹炭塗料」をお役立て下さい!
竹炭塗料(15L缶)
竹炭シート(100m巻き)
竹炭について
南九州は、竹林面積・竹材生産量ともに
日本一のところです!
その『南九州』の地で生まれた『竹材』を、高温で焼き上げ、
さらに厳選した『竹炭』を使用しております。

新築・改築後の住宅・マンション等に使用されている建材・資材・塗料・接着剤においては、 目に見えない揮発性有機化合物(VOC)
(ホルムアルデヒド・トルエン・キシレン等)により、住む人々の体に、
いろいろな症状によって体調不良を生じさせているときがあります。
この室内の臭い・揮発性有機化合物(VOC)を『竹炭シート』
の吸着力によって、安全・安心・快適な居住空間にしませんか!
お手軽竹炭シート(0.35cm×3m)
さらに、結露を防ぎ、カビや害虫を抑制し、
快適な湿度を保ちます。
エアコンの季節です。 住まいの【シックハウス症候群. 湿気 .臭い】''対策万全ですか?

買い物かごはこちらから
効果を倍増する竹炭 シート
畳の素材である 「い草」には湿気の高い時 出動 吸収し 低い時は 放出する効果があると言われております 。
さらに調湿効果を倍増するために『 竹炭 シート』を畳の中に入れる方法と、畳の下に敷く方法とがあります。 用途に合わせてご使用ください。

買い物かごはこちらから
畳下に 竹炭 シートを敷く
全国各地の畳屋さんでの使用実績のがある 多数ある竹炭シートです 。

竹炭シートの使い方 あれこれ 押し入れ( 内部への使用)
北側の湿気の多いお部屋の押入れ内部に 竹炭 シートをご利用ください。
●湿気対策にマンション・住宅の 押入れ内部に 竹炭 シート''を施工。
''
●タイルカーペット下に
竹炭シート
●押入れ内部へ貼り付け作業完了。
●ラグカーペット下に竹炭シート
竹炭シート 自体に通気性があるために 表裏がどちらにしても効果は変わりませんが、竹炭粉が多少付く可能性がありますので裏側(白い側)が良いと思います。
買い物かごはこちらから''
竹炭の効能
”炭”には、湿気を吸ったり、吐き出したりする機能が
あることは・・・古くからよく知られていました。
古代の古墳の内部に”炭”で覆った特別室を作ったのも、
”炭”の吸湿作用を活かしたもの。
遺骨の防腐のためです。
また建物の耐久性を高めるため、床下の除湿にも
”炭”が使われていました。
神社・仏閣がそうでした。
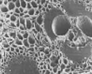
炭が湿度を調整する秘密は・・・
無数の小さな”細孔”にあります。

細孔は、湿度が高くなれば、湿気を吸着し、
乾燥しているときは、水分を放出して、
空気中の湿度を調整してくれる作用があります。
”臭い”や”シックハウス症の原因となる
”揮発性有機化合物”についても、
この小さな細孔が吸着してくれます。
当ショップの”竹炭シート”には、吸着して、
さらに・・分解してくれる作用があります。